detikNewsJumat, 07 Feb 2025 16:34 WIB
Mengenal Apa Itu Mata Badai: Fenomena di Pusat Siklon Tropis
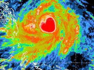
Penjelasan tentang istilah mata badai yang merujuk pada fenomena pusaran di tengah badai besar, menandai kemunculan siklon tropis.










































