detikNewsSelasa, 28 Okt 2025 19:00 WIB
Badai Melissa Terjang Karibia, Warga Dominika Waspada
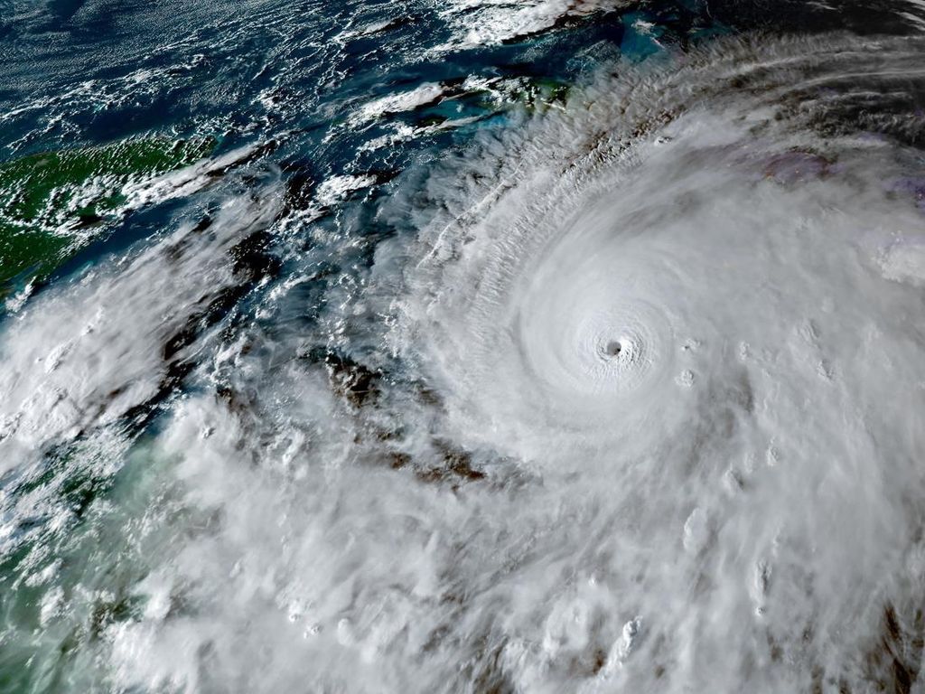
Badai Tropis Melissa melanda Republik Dominika dengan hujan deras dan angin kencang. Tim gabungan dikerahkan mencari remaja yang hilang di kawasan pesisir.










































